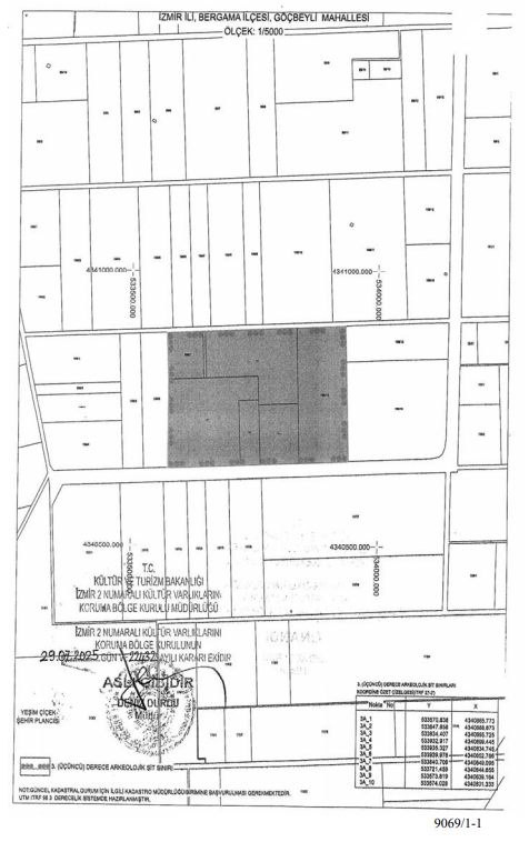
DEMOKRAT GÜNDEM- Kültürel mirası ve arkeolojik zenginlikleriyle öne çıkan İzmir’in Bergama ilçesinde, yeni bir SİT alanı daha tescil edildi. Kültür ve Turizm Bakanlığı’na bağlı İzmir 2 Numaralı Kültür Varlıklarını Koruma Bölge Kurulu, Göçbeyli Mahallesi Balıklı Mevkii’nde tespit edilen arkeolojik alanı 3. Derece Arkeolojik SİT alanı ilan etti. Karar, Resmi Gazete’de yayımlanarak yürürlüğe girdi.
Kurul tarafından yapılan teknik incelemeler ve uzman değerlendirmeleri sonucunda alınan karar kapsamında, söz konusu alan bundan böyle koruma altında olacak. 3. derece arkeolojik SİT alanı ilanı, bölgede bilimsel kazı, araştırma ve kontrollü kullanım koşullarını beraberinde getiriyor.

BERGAMA: ARKEOLOJİK MİRASIN KALBİ
Antik Pergamon kenti üzerine kurulu olan Bergama, UNESCO Dünya Mirası Listesi’nde yer alıyor ve her yıl binlerce yerli-yabancı ziyaretçiyi ağırlıyor. İlçede son yıllarda tescillenen SİT alanlarının sayısı artarken, bu karar bölgedeki kültürel varlıkların korunması açısından yeni bir adım olarak değerlendiriliyor.
Göçbeyli Mahallesi’ndeki yeni SİT kararı, bölgede tarım ve yapılaşma faaliyetleri açısından da sınırlamalar getirecek. Arkeolojik alanlarda herhangi bir müdahale için Kültür Varlıklarını Koruma Kurulu’ndan izin alınması gerekecek.